Description
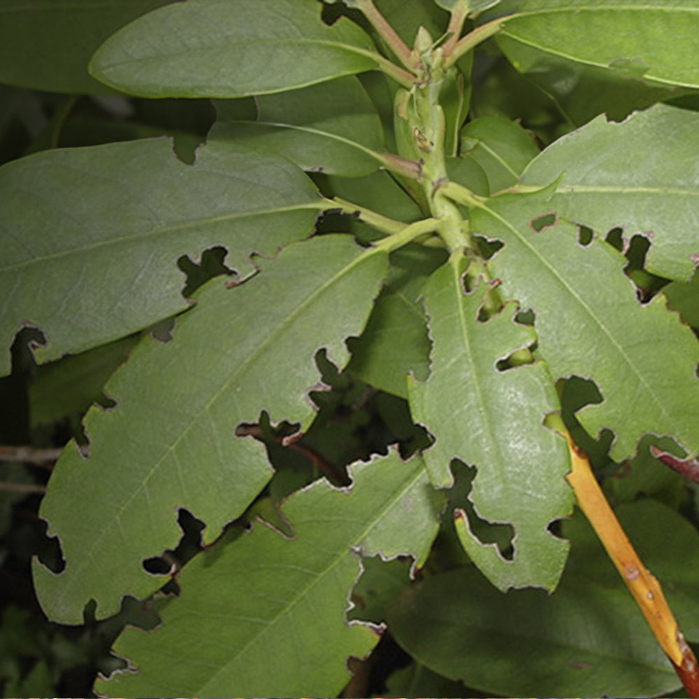
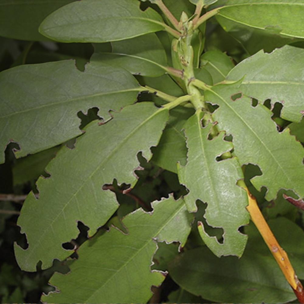
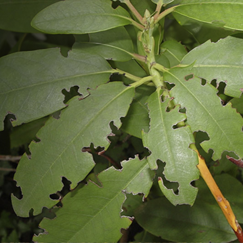
Vine weevil larvae feed on a wide range of ornamental plants and fruit, especially those grown in containers these vine weevil nematodes stop the larvae. While adult vine weevils damage leaves, the larvae feed on the roots, causing significant harm to your plants.
How Vine Weevil Nematodes Work
Our vine weevil nematodes kill the larvae and prevent root damage. These microscopic worms (Heterorhabditis megidis) multiply inside the larvae, seeking them out and killing them, thus protecting your plants from further damage.
When to Apply Vine Weevil Nematodes
Apply the nematodes when vine weevil larvae are most active, typically in late spring and early autumn. For the best results, apply between March and May for the first application, and again from August to October. This is when the larvae are present, and soil temperatures exceed 12ºC (54ºF). If applying under cover, the treatment can be used all year round
How to Apply Vine Weevil Nematodes
Simply apply the nematodes directly to the soil around the roots, where the larvae feed. You can use a watering can or a nematode applicator to distribute the nematodes easily.
A choice of 2 pack sizes are available.
Small covers 12.sq.m
Large covers 100 sq.m
Important Information
Please note: Nematodes are live organisms and cannot be returned. They typically have a shelf life of around two weeks.







